Plongée numéro 45 et 46 : Nouméa et l’îlot Amédée
Ce matin, nous avons rendez-vous à 7h du matin pour une sortie plongée autour de l’îlot Amédée au large de Nouméa.
Malheureusement, le ciel est menaçant et il y a beaucoup de vent. Les quarante minutes de bateau s’annoncent difficiles et la visibilité sous l’eau risque d’être moyenne.
Il en faut plus pour nous décourager car nous avons vraiment hâte de plonger en Nouvelle Calédonie.
La traversée sera un véritable calvaire, le directeur de plongée (qui par ailleurs est un gros c%n) prendra un malin plaisir à faire décoller le zodiac à la moindre vague histoire de bien tasser les vertèbres de ses clients… Si vous venez en Nouvelle Calédonie, surtout ne plongez pas avec Amédée Diving, le patron a un caractère de chien et n’est intéressé que par votre argent.
Le message étant transmis, allons voir ce qui se passe sous l’eau…
Nous ferons notre première plongée sur l’épave du Toho 5. Celle-ci repose à 25 mètres sous la surface et d’énormes mérous et nasons unicornes en ont fait leur lieu de villégiature. La visibilité n'est pas exceptionnelle et je rencontre quelques problèmes avec les réglages manuelles de mon appareil mais c'est pas grave, au moins, il n'a pas pris l'eau...
Il est interdit de rentrer dans l’épave mais nous pouvons explorer le pont supérieur et les coursives. Pas toujours évident de prendre de bonnes photos car nous sommes six plongeurs (avec des niveaux de plongée vraiment différents) pour un moniteur et ça devient rapidement du gros n’importe quoi.
Après trois quart d’heure sous l’eau, il est maintenant temps de refaire surface et d’aller se restaurer sur l’îlot Amédée. Le cadre est superbe et il en faudrait peu pour que ça soit paradisiaque, une météo un peu plus clémente et un staff plus aimable par exemple.
Après avoir dévoré un bon pavé de thon à l’estragon, nous sommes prêts à attaquer les choses sérieuses : La passe extérieure de Boulari.
La mise à l’eau s’annonce chaotique et notre « ami du jour » hurle dans tous les sens. C’est vrai qu’il y a un peu de vague mais pas de quoi s’énerver.
Une fois sous l’eau, c’est beaucoup plus calme et au moins on ne l’entend plus brailler !!!
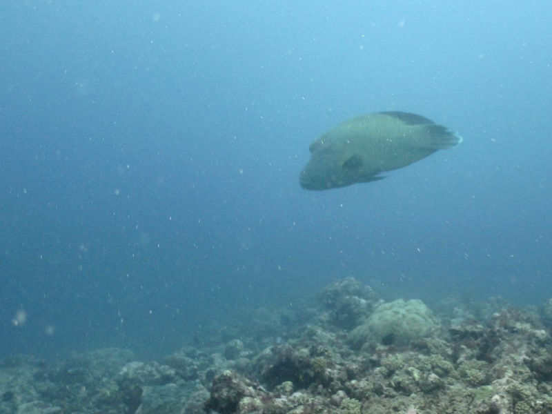
Sur notre route, nous croiserons deux petits requins de récif, un pointe blanche et un pointe noir. Ils sont malheureusement trop timides pour se laisser photographier. Quelques minutes plus tard, un Napoléon fera son apparition mais il ne s'attardera pas non plus :'(
C’est la première fois que nous en voyons un et nous aurions aimé le suivre mais le courant est un peu trop fort et nous devons faire demi-tour.
Heureusement, les mérous et les sweetlips seront beaucoup moins farouches :)
Le retour au port sera également très mouvementé et nous sommes bien contents de débarquer pour ne plus avoir à écouter les commentaires désobligeants du patron.
Le bilan est tout de même très positif car nous avons exploré une belle épave et observé des espèces que nous n'avions jamais croisées jusque là :)
Plongée numéro 47 et 48 : La Baie de Gadji (Île des Pins)
Ce matin, la navette du club de plongée (Kunié Scuba Diving) vient nous chercher à 7h45.
Le ciel est complètement dégagé et la journée s’annonce formidable.
Nous avons prévu d’effectuer deux plongées consécutives dans la baie de Gadji où a été tourné une saison du jeu télévisé Koh Lanta. On comprend pourquoi les producteurs ont décidé d’organiser le jeu ici, le décor est paradisiaque… Un des plus beaux que nous ayons vu jusque là !!!
Après avoir récupéré notre équipement, Bertrand nous invite à embarquer à bord du semi-rigide qui nous conduira sur les sites de plongée.
Nous effectuerons notre premier plouf sur la faille de Noupoa.
A la mise à l’eau, nous remarquons tout de suite que la visibilité n’est pas exceptionnelle à cause des fortes pluies des derniers jours.
Peu importe, nous prenons quand même plaisir à longer le récif et passer sous les arches naturelles bordées de nombreuses gorgones.



Des poissons de belles tailles nous accompagnent durant notre plongée : Sweetlips, mérous, chirurgiens, fusiliers et pleins d’autres poissons de récif. Quelques belles langoustes sont également planquées dans des petites grottes à l’abri des regards indiscrets.
Après une petite pause pour se réchauffer et reprendre des forces, nous replongeons dans les grottes de Gadji.
L’intérêt du site consiste à passer d’une grotte à l’autre en profitant des jeux de lumière. On se croirait dans une cathédrale sous-marine, c’est vraiment magnifique même s’il n’y a pas énormément de poissons.



Nous remontons petit à petit et profitons de notre palier de sécurité pour admirer le récif frangeant et c’est franchement agréable de voir des coraux durs en bonne santé.
Voilà, il est maintenant temps de refaire surface, nous n’avons pas vu de « gros » mais nous gardons un excellent souvenir de ces plongées.
Sur le chemin du retour, le capitaine slalomera au milieu des îlots où nous resterons scotchés tellement la nature est belle. Vous cherchez une plage de sable blanc au milieu d’un lagon bleu turquoise hors des sentiers battus… Ne cherchez plus !!!